土地
古川北稲葉1丁目 土地
イチ押しポイント
◆上下水道完備の土地
◆建築条件無しなのでお好きなハウスメーカーで建築できます
◆セブンイレブンまで徒歩約5分
◆最寄りのバス停まで徒歩約2分
この物件のお支払い例※金融機関条件による 頭金/ボーナス払い0円 頭金0円
- 物件価格
- 500万円
- 月々の支払い
金利{{ loanInterestRate }}%の場合
-
{{ monthlyPayment?.toLocaleString() }}円
- 物件価格
- 500万円
支払いシミュレーション
- 万円
- 万円
- %
- 万円
| ボーナス払い | {{ loanTerm }}年 |
|---|---|
| 0万円 | |
| 5万円 | |
| 10万円 | |
| 15万円 | |
| 20万円 | |
| 25万円 |
× 閉じる
物件概要
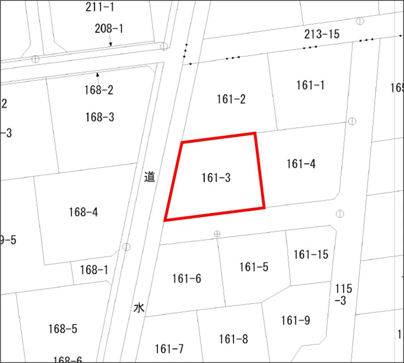
| 所在地 | 宮城県大崎市古川北稲葉1丁目161-3 | ||
|---|---|---|---|
| 交通 |
JR東北新幹線 古川駅 徒歩23分 (1840m) 宮城交通バス「並柳」 徒歩2分 (160m) |
||
| 小学校校区 |
大崎市立古川第三小学校 |
中学校校区 |
大崎市立古川南中学校 |
| 現況 | 更地 | 引渡し | 相談 |
| 取引態様 | 専任媒介 | ||
| 土地面積 | 185.85㎡(公簿) | ||
| 設備 | 上水道、下水道、プロパンガス、水道メーター権利は13mmです(20mmに口径アップ可能) | ||
| 特徴 | |||
※学校区は住所から自動判定したものであり、保証できる情報ではございません。正確な学校区はお問い合わせ下さい。
周辺環境
「人型アイコン」を地図上にドラッグすることで『Google ストリートビュー』に切り替わります。
※地図上の「対象地」は実際の場所ではない場合がございます。詳しくはお問い合わせください。
物件詳細
| 土地権利 | 所有権 | 建ぺい率/容積率 | 60% / 200% |
|---|---|---|---|
| 接道状況 |
一方 南 公道 幅4m |
||
| 都市計画 | 非線引区域 | 用途地域 | 準工業 |
| 地目 | 宅地 | ||
| 諸条件・相談 | |||
| 情報登録日 | 2026年2月5日 | 情報更新予定日 | 2026年5月31日 |
| 物件番号 | 866368 | ||
